Contact Agent

Contact Ronan McAnenny Sales & Lettings

Contact Ronan McAnenny Sales & Lettings

Retail

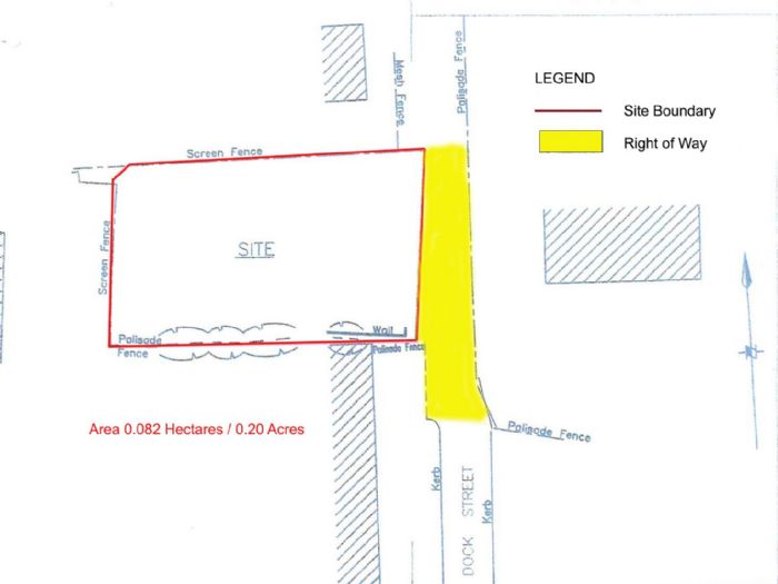
Builders Yard Dock Street

Strabane, BT82 8DF

Price on Application
  • Status Sale Agreed
  • Property Type Retail
EPC Rating

Description

Ronan McAnenny Ltd is pleased to welcome to the property market this Builders Yard in Dock Street, Strabane.

The property is conveniently located within the town and extends to 980sq yds, statute measure or thereabouts.  The yard would be suitable for a number of uses.

Viewings are strictly by appointment only and can be arranged by calling our office on 02871 886910.

CLOSING DATE FOR OFFERS THURSDAY 10/10/2024

 

 

Important notice to purchasers:  We have not tested any plumbing, electrical or structural elements including appliances at this property. Please satisfy yourself as to the validity of the performance of same by instructing the relevant professional body or tradesmen. Access will be made available.

Ronan.Co, for themselves and for the vendors of this property, whose agents they are, give notice that: –

(1)  The particulars are set out as a general outline for the guidance of intending purchasers and do not constitute part of an offer or contract.

(2) All descriptions, dimensions, references to conditions and necessary permissions for use and occupation, and other details, are given in good faith and are believed to be correct, but any intending purchasers or tenants should not rely on them as statements or representations of fact but must satisfy themselves by inspections or otherwise as to their correctness. The photographs appearing in these particulars show only certain areas of the property at the time when the photographs were taken. Furthermore, no assumptions should be made in respect of parts of the property which are not shown in the photographs.

(3) No person in the employment of Ronan.Co has any authority to make or give any representation or warranty in relation to this property.

Property Location

Show Map

Contact Agent

Contact Ronan McAnenny Sales & Lettings

Contact Ronan McAnenny Sales & Lettings

Request More Information
Requesting Info about...
Builders Yard Dock Street, Strabane, BT82 8DF Builders Yard Dock Street, Strabane, BT82 8DF

By registering your interest, you acknowledge our Privacy Policy