Contact Agent
Contact Ulster Property Sales (UPS) Ballynahinch
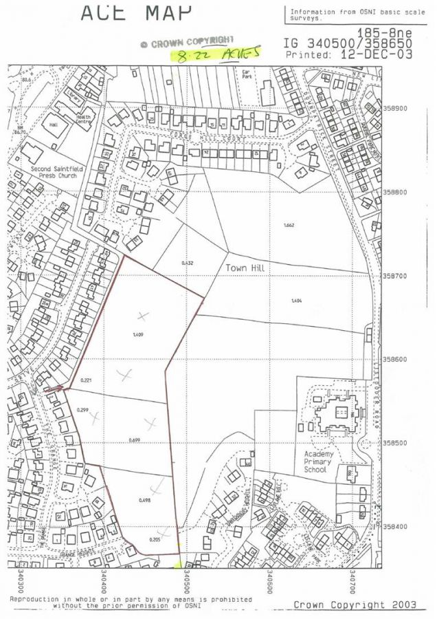
Land
Land Saintfield Town Hill Grange View
Saintfield, BT24 7NQ
offers around
£120,000
- Status For Sale
- Property Type Land
-
Stamp Duty
Higher amount applies when purchasing as buy to let or as an additional property£0 / £6,000*
Description
We are pleased to offer for sale 8.2 acres of the town hill in the village of Saintfield. The land is currently used as agricultural land although may have some sort of development potential subject to the appropriate approvals.
The land is approached just off the Grange development in Saintfield.
On the area plan the land has been classed as LLPA which states the following:
LLPA 3 Town Hill
localised hill steep sided drumlin in centre of built up area and prominent in views from throughout the town and along approach roads;
area of local visual amenity importance free from built development above a certain height which may have been the commons for the 17th century town;
potential for accessible public recreation and open space within the centre of the village;
and one of a series of drumlins within and around the settlement which form part of the landscape setting of Saintfield
For further information please contact the office.
The land is approached just off the Grange development in Saintfield.
On the area plan the land has been classed as LLPA which states the following:
LLPA 3 Town Hill
localised hill steep sided drumlin in centre of built up area and prominent in views from throughout the town and along approach roads;
area of local visual amenity importance free from built development above a certain height which may have been the commons for the 17th century town;
potential for accessible public recreation and open space within the centre of the village;
and one of a series of drumlins within and around the settlement which form part of the landscape setting of Saintfield
For further information please contact the office.
Property Location
Mortgage Calculator
Contact Agent
Contact Ulster Property Sales (UPS) Ballynahinch
Request More Information
Requesting Info about...
Land Saintfield Town Hill Grange View, Saintfield, BT24 7NQ
By registering your interest, you acknowledge our Privacy Policy
By registering your interest, you acknowledge our Privacy Policy