Contact Agent

Contact Armstrong Gordon & Co

Contact Armstrong Gordon & Co

3 Bed Semi-Detached House

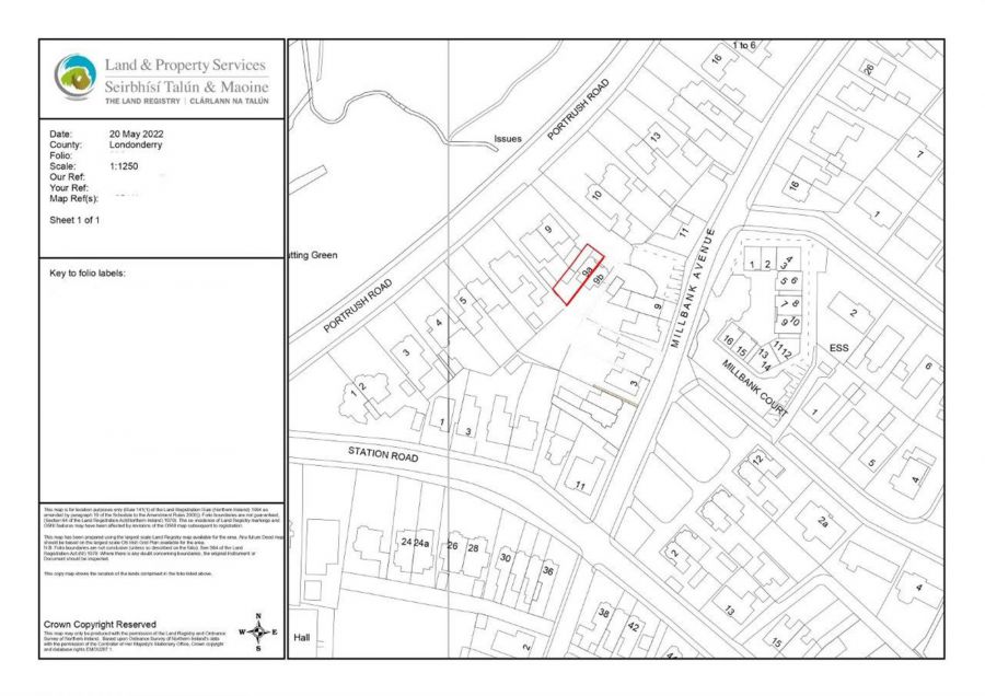
9A Portrush Road

Portstewart, BT55 7DB

offers over £175,000
  • Status Sale Agreed
  • Property Type Semi-Detached
  • Bedrooms 3
  • Receptions 2
  • Heating None
  • Stamp Duty
    Higher amount applies when purchasing as buy to let or as an additional property
    £1,000 / £9,750*
  • Typical Mortgage
    Click price to use our mortgage calculator

Key Features & Description

Located Beside Old Portstewart Golf Course & Sea
Superb Sized Site With Southerly Facing Garden
Vehicle Right Of Way To Garage
Most Likely Site For Replacement Dwelling Or Extensive Refurbishment
Title Maps Available From Agent
Description

One off opportunity to acquire a property located just off the coast road (Portrush Road) opposite Old Portstewart golf course and in condition needing either major works or replacement dwelling . The property has a garage to side and large rear garden and offers sea views to the side.

 

The property is unsafe to view at present therefore viewings are by appointment only.  

 

Rooms

ENTRANCE HALL: With wood floor.
LOUNGE: With fireplace.
LIVING ROOM:
KITCHEN:
LANDING: With stairs to attic room.
BEDROOM (1):
BEDROOM (2):
BEDROOM (3):
BATHROOM:
ATTIC ROOM:

Property Location

Show Map

Mortgage Calculator

Disclaimer: The following calculations act as a guide only, and are based on a typical repayment mortgage model. Financial decisions should not be made based on these calculations and accuracy is not guaranteed. Always seek professional advice before making any financial decisions.

Directions

Travelling past Amicis restaurant towards Portrush there is a laneway on the right hand side. Turn down the laneway and 9A is on your right hand side.

Contact Agent

Contact Armstrong Gordon & Co

Contact Armstrong Gordon & Co

Request More Information
Requesting Info about...
9A Portrush Road, Portstewart, BT55 7DB 9A Portrush Road, Portstewart, BT55 7DB

By registering your interest, you acknowledge our Privacy Policy