Site
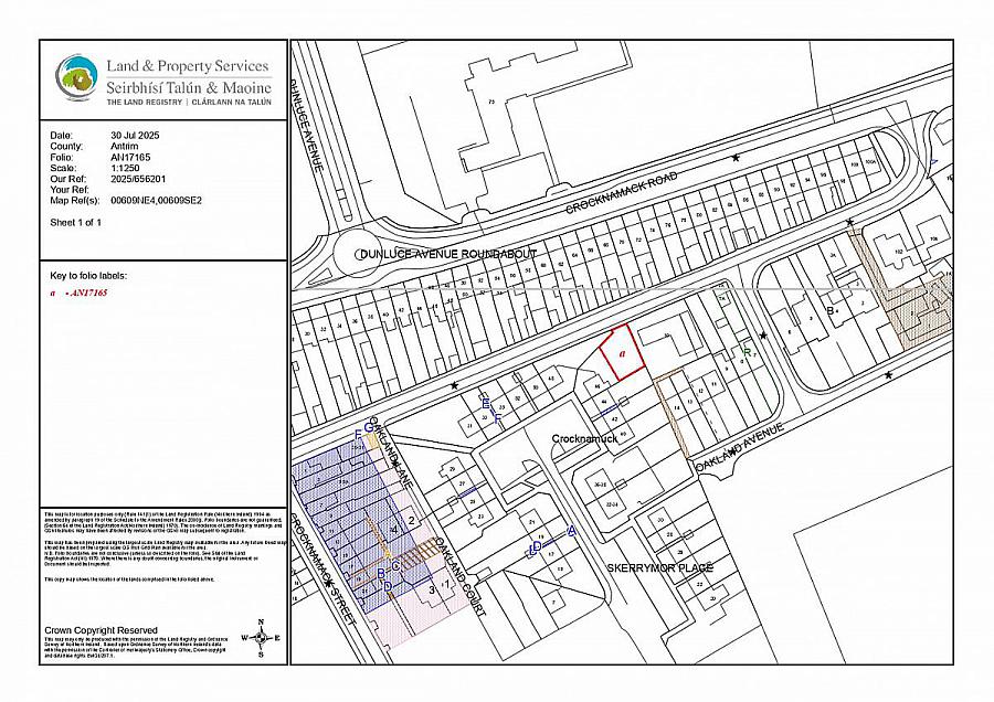
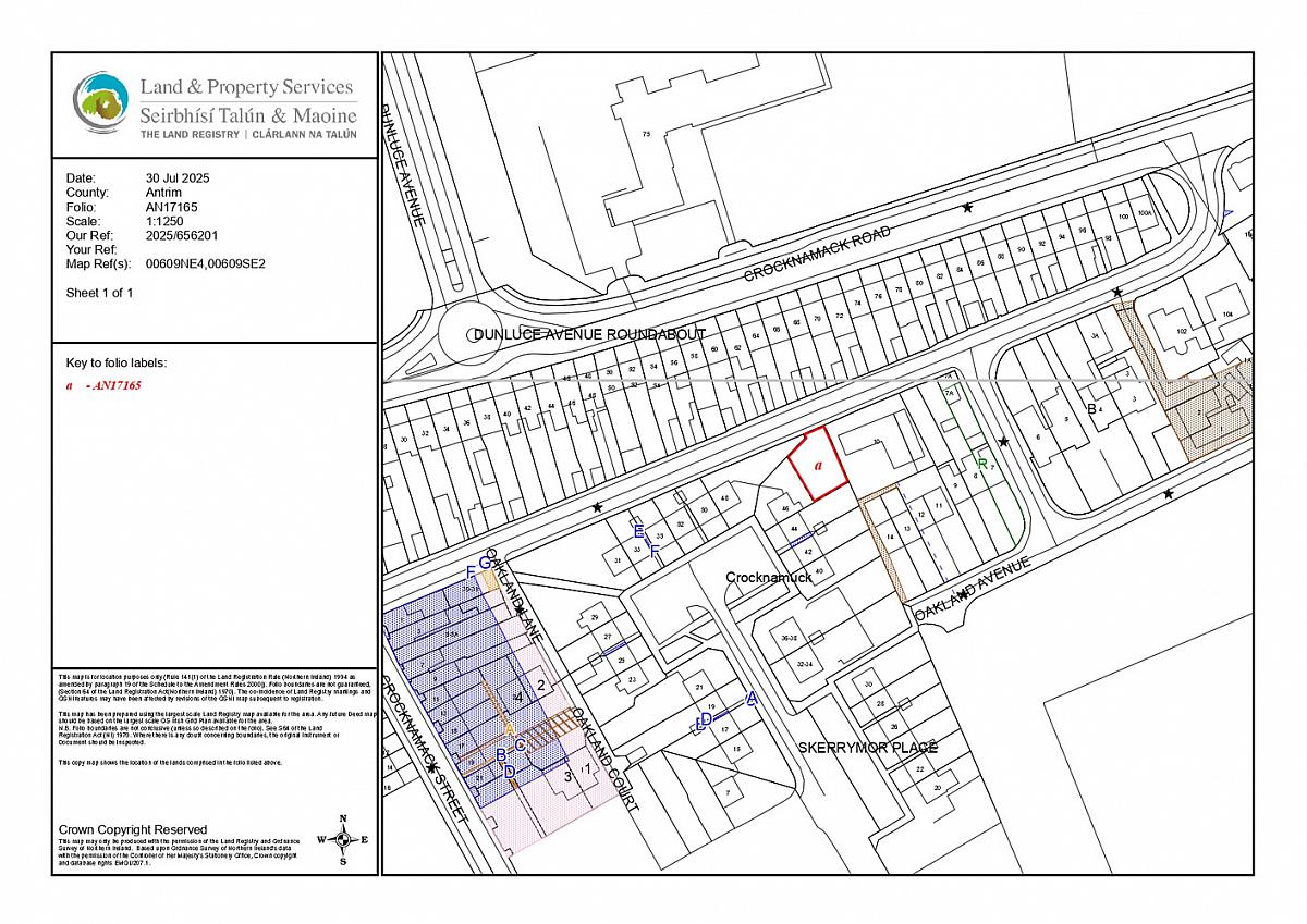
Land At Oaklands Avenue, Rear Of Skerrymore Place
Portrush, BT56 8JP
offers over
£49,500
- Status For Sale
- Property Type Site
-
Stamp Duty
Higher amount applies when purchasing as buy to let or as an additional property£0 / £2,475*
- Tenure Freehold
Key Features & Description
Desirable Residential Location
Excellent Potential For Redevelopment (STPP)
Close To Portrush Town Centre & Beaches
Accessible To Schools, Shops & Transport Links
Ideal For Builders, Investors Or Private Buyers
11m Wide By 16m Deep (At Deepest Point)
Description
A rare opportunity to acquire a small parcel of land located on the highly sought after Oaklands Avenue in the heart of Portrush, one of the North Coast's most desirable coastal towns. This plot offers excellent potential for redevelopment, subject to the necessary planning consents. Positioned in a well established residential area, the site benefits from proximity to local amenities, schools, public transport links, and the stunning North Coast beaches and attractions. Whether you are a developer looking for your next project or an individual seeking to build a bespoke home (subject to planning), this land represents a valuable and exciting investment opportunity.
A rare opportunity to acquire a small parcel of land located on the highly sought after Oaklands Avenue in the heart of Portrush, one of the North Coast's most desirable coastal towns. This plot offers excellent potential for redevelopment, subject to the necessary planning consents. Positioned in a well established residential area, the site benefits from proximity to local amenities, schools, public transport links, and the stunning North Coast beaches and attractions. Whether you are a developer looking for your next project or an individual seeking to build a bespoke home (subject to planning), this land represents a valuable and exciting investment opportunity.
Property Location
Mortgage Calculator
Directions
From Crocknamack Road, at the Metropole roundabout take your third right into Crocnamack Street and first left into Oakland Avenue. The subject piece of land is adjacent to the right of B & E Security behind the wooden fence.
Contact Agent
Contact Armstrong Gordon & Co
Request More Information
Requesting Info about...
Land At Oaklands Avenue, Rear Of Skerrymore Place, Portrush, BT56 8JP
By registering your interest, you acknowledge our Privacy Policy
By registering your interest, you acknowledge our Privacy Policy