Contact Agent
Contact Best Property Services (Dungannon)
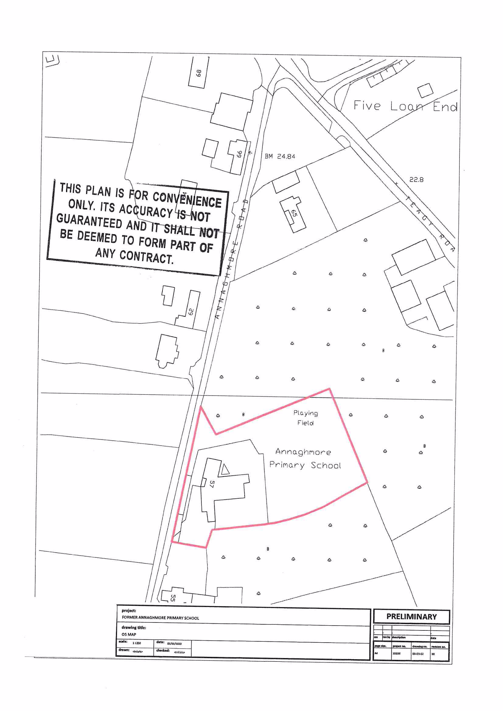
Site
Derrygavad Road
Portadown, Craigavon, BT62 1ND
offers over
£180,000
- Status Sale Agreed
- Property Type Site
-
Stamp Duty
Higher amount applies when purchasing as buy to let or as an additional property£1,100 / £10,100*
Description
Location
Annaghmore is a small Hamlet, situated approx. 7 miles from Portadown and 9 miles from Armagh, convenient to the M1 Motorway. The site of this former school premises, fronts the Annaghmore Road/Derrygavad road, a short distance from the junction of Teagy Road.
Description.
The property being offered for sale comprises a potential development site of approx. 1.4 acres ( area to be confirmed ). There is a former school building on site , which is now in a semi derelict condition. This building has been unoccupied for some years and is in poor order. Any prospective purchaser will be responsible for any costs associated with demolition if required and also any other costs arising such as asbestos removal. There is asbestos within the former school building. The property enjoys the benefit of extensive frontage to Annaghmore road ( Derrygavad Rd) .
Directions
From M1 ,take Junction 13 exit , and follow signs for Annaghmore . At the crossroads in the village, take right in to Derrygavad road , and site is a short distance on left hand side . The property is approx. 2.5 miles from M1
Development Potential
We understand that the site is within the Annaghmore Settlement limit as currently defined. Prospective purchasers should make their own pre purchase enquiries, in relation to the suitability of the site for redevelopment. No warranties or undertakings are available, and the property is being offered for sale unconditionally, in its current condition. All buyers should seek appropriate professional advice.
Guide Price
Offers over £180,000
Purchasers details
We will require full details from any prospective purchasers or bidders , to include proof of funds and appropriate ID
Initial Closing Date for offers
Thursday 9th June 2022 ( the selling agents reserve the right to amend of adjust this closing date as required, and may continue to take bids in whatever fashion is deemed appropriate by them at their discretion)
Viewings
Strictly by appointment only ,and no person has permision or authority to enter the site without being accompanied . This is an overgrown site on which hazards may exist ,hence accompanied viewers should proceed with caution and wear appropriate footwear when attending accompanied viewings.
Annaghmore is a small Hamlet, situated approx. 7 miles from Portadown and 9 miles from Armagh, convenient to the M1 Motorway. The site of this former school premises, fronts the Annaghmore Road/Derrygavad road, a short distance from the junction of Teagy Road.
Description.
The property being offered for sale comprises a potential development site of approx. 1.4 acres ( area to be confirmed ). There is a former school building on site , which is now in a semi derelict condition. This building has been unoccupied for some years and is in poor order. Any prospective purchaser will be responsible for any costs associated with demolition if required and also any other costs arising such as asbestos removal. There is asbestos within the former school building. The property enjoys the benefit of extensive frontage to Annaghmore road ( Derrygavad Rd) .
Directions
From M1 ,take Junction 13 exit , and follow signs for Annaghmore . At the crossroads in the village, take right in to Derrygavad road , and site is a short distance on left hand side . The property is approx. 2.5 miles from M1
Development Potential
We understand that the site is within the Annaghmore Settlement limit as currently defined. Prospective purchasers should make their own pre purchase enquiries, in relation to the suitability of the site for redevelopment. No warranties or undertakings are available, and the property is being offered for sale unconditionally, in its current condition. All buyers should seek appropriate professional advice.
Guide Price
Offers over £180,000
Purchasers details
We will require full details from any prospective purchasers or bidders , to include proof of funds and appropriate ID
Initial Closing Date for offers
Thursday 9th June 2022 ( the selling agents reserve the right to amend of adjust this closing date as required, and may continue to take bids in whatever fashion is deemed appropriate by them at their discretion)
Viewings
Strictly by appointment only ,and no person has permision or authority to enter the site without being accompanied . This is an overgrown site on which hazards may exist ,hence accompanied viewers should proceed with caution and wear appropriate footwear when attending accompanied viewings.
Property Location
Mortgage Calculator
Contact Agent
Contact Best Property Services (Dungannon)
Request More Information
Requesting Info about...
Derrygavad Road, Portadown, Craigavon, BT62 1ND
By registering your interest, you acknowledge our Privacy Policy
By registering your interest, you acknowledge our Privacy Policy