Contact Agent

Contact Burns & Co (Magherafelt)

Contact Burns & Co (Magherafelt)

Industrial Property

30-40 Church Street

Magherafelt, BT45

Price on Application
  • Status For Sale
  • Property Type Industrial Property
EPC Rating

Key Features

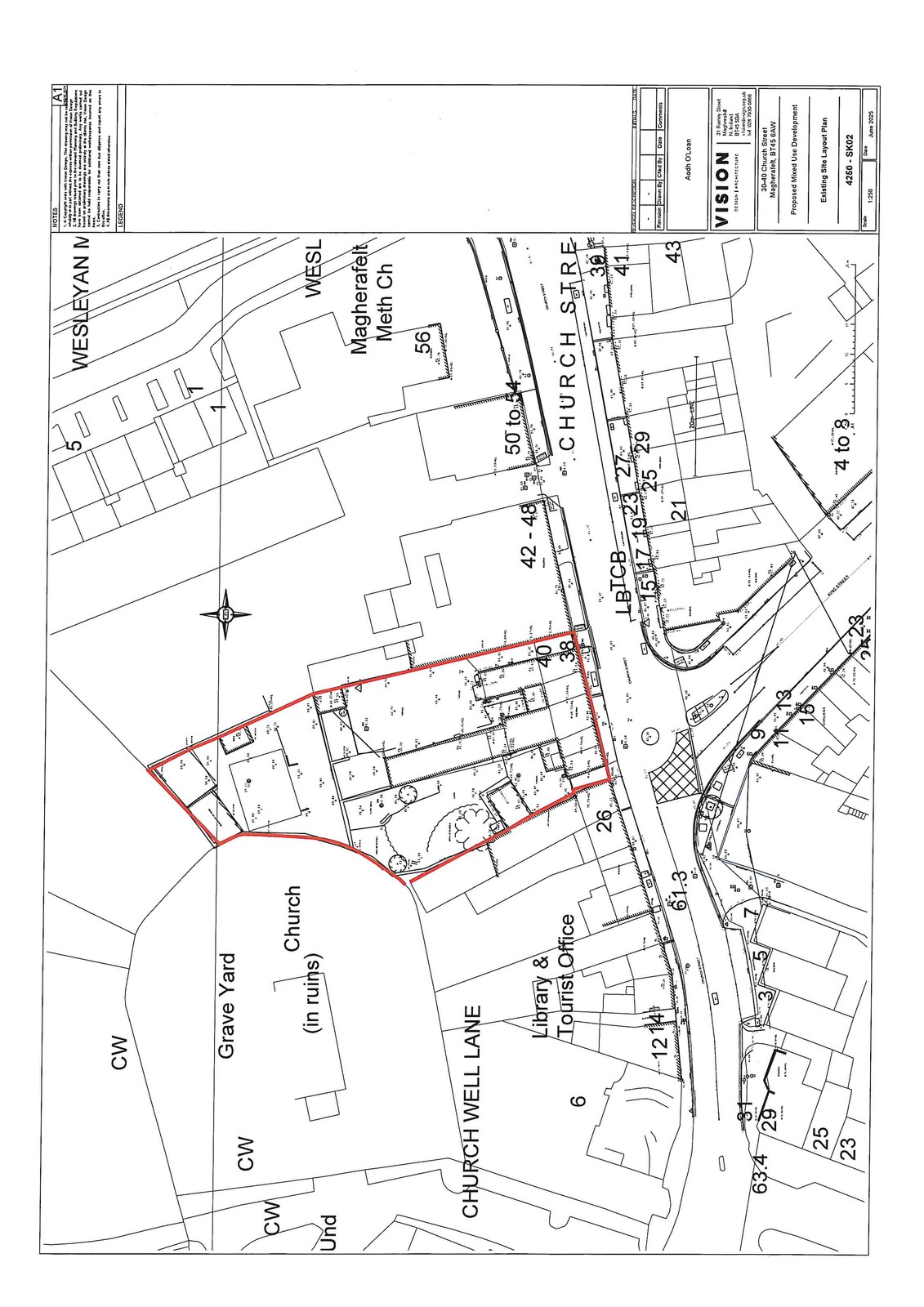
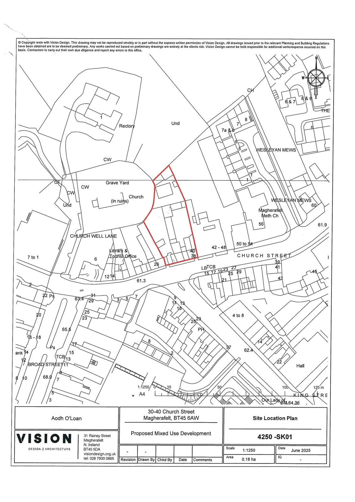
Extensive Commercial/ Residential Property and Grounds. 0.445 acres (approx.)
Well situated in a prominent location @ Church Street Magherafelt.
Presently comprises five bedroom/ 3 reception dwelling house, 2 x 2 bedroom apartments, 2 x retail shop units and a range of stores located to the rear of the property.
Property presently derives a rental income but would also be suitable for new or further development (Subject to Planning and other Statutory Approvals).
Indicative Scheme layout drawn for 21 No Apartments & two No. Retail Units by Vision Design.
Price on request.

Property Location

Show Map

Contact Agent

Contact Burns & Co (Magherafelt)

Contact Burns & Co (Magherafelt)

Request More Information
Requesting Info about...
30-40 Church Street, Magherafelt, BT45 30-40 Church Street, Magherafelt, BT45

By registering your interest, you acknowledge our Privacy Policy
Ask Holmes
Ask Holmes
Let's find your next home

Are you sure you want to reset the chat?

Checking API...