Contact Agent

Contact Armstrong Gordon & Co

Contact Armstrong Gordon & Co

Site

5 Detached Sites At 20 Dunderg Road

Macosquin, BT51 4NE

offers over £198,000
  • Status For Sale
  • Property Type Site
  • Stamp Duty
    Higher amount applies when purchasing as buy to let or as an additional property
    £1,460 / £11,360*
  • Typical Mortgage
    Click price to use our mortgage calculator

Key Features & Description

Full Planning in Place
Overlooking Football Pitch
Services Adjacent to Site
Full Drawings Available From Agent
Description
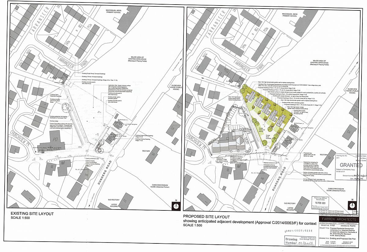
Armstrong Gordon are delighted to offer for sale five detached building sites located within the village of Macosquin. The development site has full planning permission ready for immediate start ref no. LA01/2020/0238/F.

Property Location

Show Map

Mortgage Calculator

Disclaimer: The following calculations act as a guide only, and are based on a typical repayment mortgage model. Financial decisions should not be made based on these calculations and accuracy is not guaranteed. Always seek professional advice before making any financial decisions.

Directions

Travelling from Coleraine to Macosquin on the main a37 Dunhill Road take a right turn into the village which is the Dunderg Road.There is a road between numbers 16 and 20 on the left which when you turn into it has the subject land for sale on the right hand side.

Contact Agent

Contact Armstrong Gordon & Co

Contact Armstrong Gordon & Co

Request More Information
Requesting Info about...
5 Detached Sites At 20 Dunderg Road, Macosquin, BT51 4NE 5 Detached Sites At 20 Dunderg Road, Macosquin, BT51 4NE

By registering your interest, you acknowledge our Privacy Policy
Ask Holmes
Ask Holmes
Let's find your next home

Are you sure you want to reset the chat?

Checking API...