Contact Agent
Contact Dalzell Property (Lisburn)
4 Bed Detached House
For Sale As A Whole Or In Lots Detached House Needing Renovation Along With Two Adjoining Building Sites With Detailed Planning Per
6 Glenavy Road, Ballinderry Upper, BT28 2PE
offers over
£280,000
- Status Sale Agreed
- Property Type Detached House
- Bedrooms 4
- Receptions 2
- Heating OFCH
-
Stamp Duty
Higher amount applies when purchasing as buy to let or as an additional property£4,000 / £18,000*
Description
We offer for sale a small detached house with a spacious rear garden and two building sites with approval for two detached houses of about 2,100 sq ft each.
The properties are very well located and are situated just off the A26, Moira to Belfast International Airport road and about 0.7 miles from Ballinderry Upper.
The accommodation of the house in brief:
Ground Floor - Porch, sitting room with fireplace, living room, back hall and kitchen.
First Floor - 2 bedrooms and bathroom.
The house has PVC double glazed windows and there is an oil-fired heating system which would require a new boiler.
This house needs considerable repair and modernisation. Obtaining a mortgage in its present condition would be difficult.
CASH OFFERS preferred.
Outside
Garden to front. Driveway. Spacious, large rear garden.
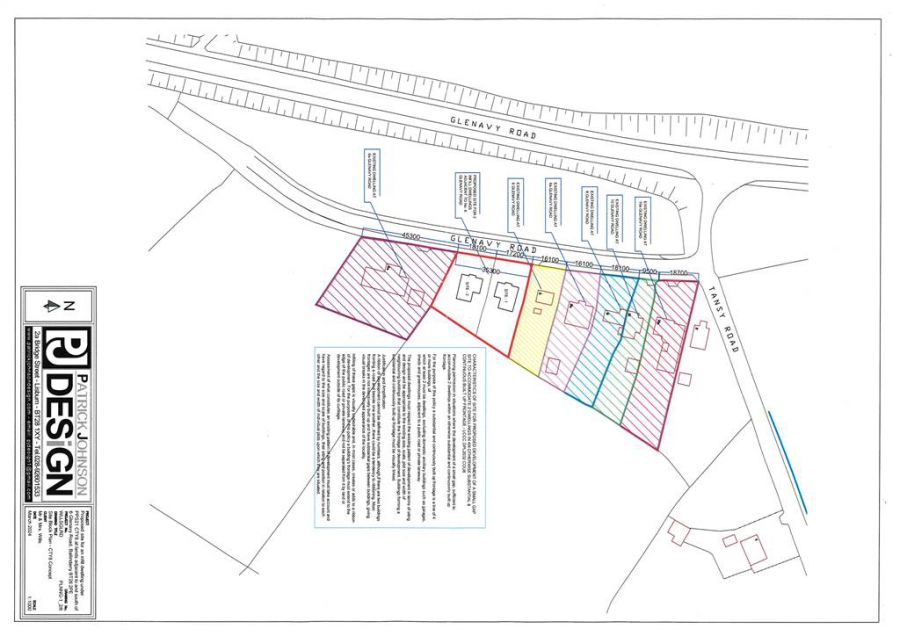
The Sites
Full planning permission was granted on 16th October 2024 - reference LA05/2023/0755/F for two dwellings.
Architect - Patrick Johnston Design.
The new proposed houses are approximately 2,100 sq ft with accommodation in brief:
Ground Floor - Reception hall, cloakroom, lounge, open plan family room, dining and kitchen area. Utility room.
First Floor - Landing, 4 bedrooms (main bedroom with dressing room and ensuite shower room), and bathroom.
Guideline Price
As a Whole £280,000
or
In Lots
Lot 1: House £90,000
Lot 2 & 3: Two Sites £95,000 (each)
The properties are very well located and are situated just off the A26, Moira to Belfast International Airport road and about 0.7 miles from Ballinderry Upper.
The accommodation of the house in brief:
Ground Floor - Porch, sitting room with fireplace, living room, back hall and kitchen.
First Floor - 2 bedrooms and bathroom.
The house has PVC double glazed windows and there is an oil-fired heating system which would require a new boiler.
This house needs considerable repair and modernisation. Obtaining a mortgage in its present condition would be difficult.
CASH OFFERS preferred.
Outside
Garden to front. Driveway. Spacious, large rear garden.
The Sites
Full planning permission was granted on 16th October 2024 - reference LA05/2023/0755/F for two dwellings.
Architect - Patrick Johnston Design.
The new proposed houses are approximately 2,100 sq ft with accommodation in brief:
Ground Floor - Reception hall, cloakroom, lounge, open plan family room, dining and kitchen area. Utility room.
First Floor - Landing, 4 bedrooms (main bedroom with dressing room and ensuite shower room), and bathroom.
Guideline Price
As a Whole £280,000
or
In Lots
Lot 1: House £90,000
Lot 2 & 3: Two Sites £95,000 (each)
Property Location
Mortgage Calculator
Directions
From Lisburn take the Ballinderry Road to Ballinderry Upper (A26) Turn right and proceed up Glenavy Road for 0.7 miles. Turn right into Tansy Road and immediate right into Glenavy Road cul-de-sac for 6-10a Glenavy Road. House and sites on the left-hand side - See For Sale boards.
Contact Agent
Contact Dalzell Property (Lisburn)
Request More Information
Requesting Info about...
For Sale As A Whole Or In Lots Detached House Needing Renovation Along With Two Adjoining Building Sites With Detailed Planning Per, 6 Glenavy Road, Ballinderry Upper, BT28 2PE
By registering your interest, you acknowledge our Privacy Policy
By registering your interest, you acknowledge our Privacy Policy