Contact Agent

Contact Best Property Services (Dungannon)

Contact Best Property Services (Dungannon)

Agricultural Land

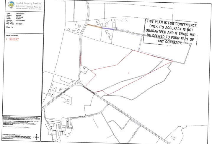
Derryane Road

Dungannon, County Armagh, BT71 6PD

offers over £125,000
  • Status Sale Agreed
  • Property Type Agricultural Land
  • Stamp Duty
    Higher amount applies when purchasing as buy to let or as an additional property
    £0 / £6,250*
  • Typical Mortgage
    Click price to use our mortgage calculator

Description

These lands which extend to approx. 14.5 acres were planted with trees in 2016 under a forest expansion scheme.

The property is contained in Folio AR 112446 and Folio AR 111400 - see maps.

Directions
Go past the entrance to Peatlands Park, take next left into Derryane Road. Travel approx. 0.75 miles to the next junction and take right and lands are immediately on the left hand side.

For further enquiries, please contact Conor Mallon on 028 8772 2663.

Property Location

Show Map

Mortgage Calculator

Disclaimer: The following calculations act as a guide only, and are based on a typical repayment mortgage model. Financial decisions should not be made based on these calculations and accuracy is not guaranteed. Always seek professional advice before making any financial decisions.

Contact Agent

Contact Best Property Services (Dungannon)

Contact Best Property Services (Dungannon)

Request More Information
Requesting Info about...
Derryane Road, Dungannon, County Armagh, BT71 6PD Derryane Road, Dungannon, County Armagh, BT71 6PD

By registering your interest, you acknowledge our Privacy Policy