Contact Agent
Contact Tim Martin & Co (Saintfield)
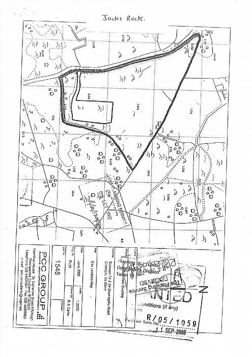
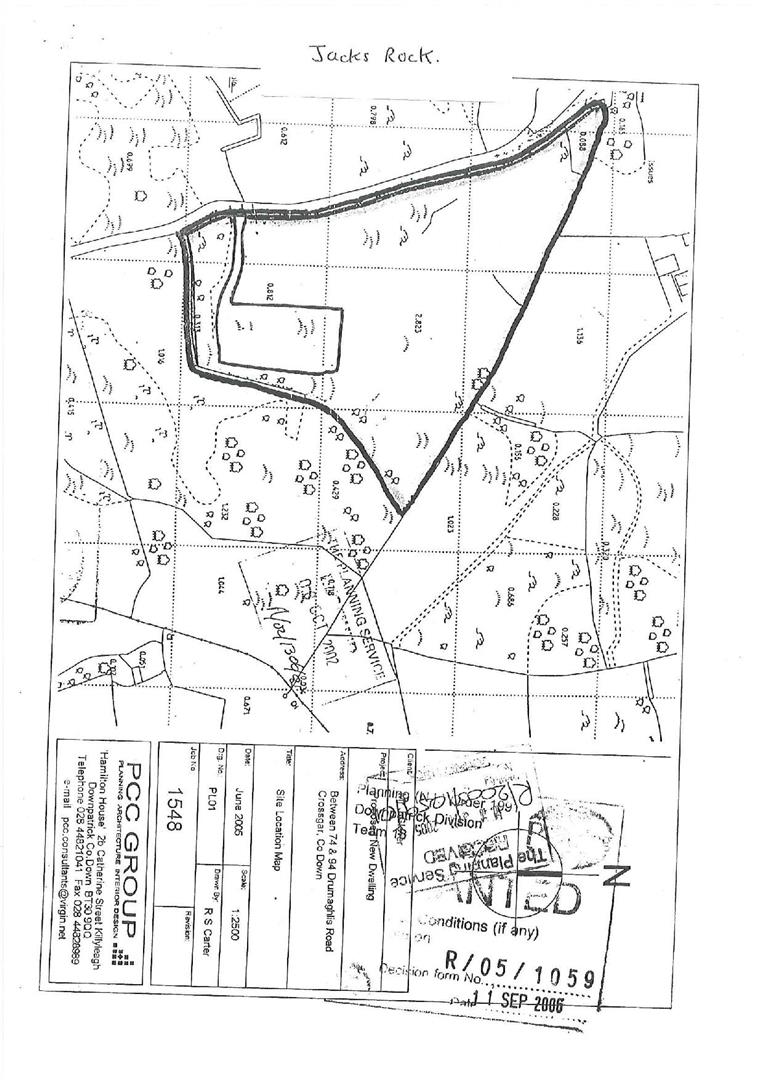
Site
Building Site Between 74-94 Drumaghlis Road
Crossgar, BT30 9JS
guide price
£150,000
- Status Sale Agreed
- Property Type Site
- Heating 7062
-
Stamp Duty
Higher amount applies when purchasing as buy to let or as an additional property£500 / £8,000*
Key Features & Description
Mature Building Site Extending to 1 acre (approx)
Reserved planning permission for the erection of a substantial 1½ storied detached residence extending to about 4750 sqft including granny flat with attached double garage.
Substantial works on the site has been completed including access road and construction and concreting of foundations
Building Control have approved the plans and inspected the works to date
Mains water is available on the road with mains electricity close by
Description
Ideally situated in a fold between a mature woodland and roll out crop and enjoying pleasing views over the surrounding countryside.
This spacious, building site extending to about 1 acre, has reserved planning permission for the erection of a substantial 1½ storied detached residence extending to about 4750 sqft including granny flat with attached double garage.
Substantial works on the site has been completed including access road and construction and concreting of foundations. Building Control have approved the plans and inspected the works to date. Mains water is available on the road with mains electricity close by.
It is rare that a site of this quality comes to the market with planning and plans in place.
Ideally situated in a fold between a mature woodland and roll out crop and enjoying pleasing views over the surrounding countryside.
This spacious, building site extending to about 1 acre, has reserved planning permission for the erection of a substantial 1½ storied detached residence extending to about 4750 sqft including granny flat with attached double garage.
Substantial works on the site has been completed including access road and construction and concreting of foundations. Building Control have approved the plans and inspected the works to date. Mains water is available on the road with mains electricity close by.
It is rare that a site of this quality comes to the market with planning and plans in place.
Property Location
Mortgage Calculator
Contact Agent
Contact Tim Martin & Co (Saintfield)
Request More Information
Requesting Info about...
Building Site Between 74-94 Drumaghlis Road, Crossgar, BT30 9JS
By registering your interest, you acknowledge our Privacy Policy
By registering your interest, you acknowledge our Privacy Policy