Office
14 Martin's Brae
Coleraine, BT52 1PX
offers over
£149,500
- Status SSTC
- Property Type Office
- Bathrooms 1
-
Stamp Duty
Higher amount applies when purchasing as buy to let or as an additional property£490 / £7,965*
- Tenure Freehold
Key Features & Description
Gas Fired Central Heating
Site May Have Development Potential Subject To Necessary Consents
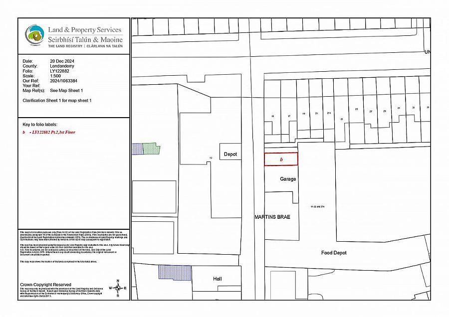
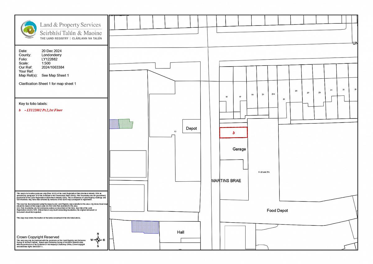
Property For Sale Comprises Two Folio's LY122882 1st Floor, LY122882 All Floors
Adjacent Garage Under First Floor Available For Sale By Separate Negotiation
Main Property Large Vehicle Garage Door
Hanging Strip Lighting & Power Points Throughout
Description
Armstrong Gordon are delighted to offer this is large commercial building/site within an extremely well situated and accessible area of Coleraine. This property has a separate first floor office suitable for sub letting and the entire ground floor is currently used as a gym. The exterior has a large car parking area suitable for several cars but also the entire site maybe suitable for redevelopment subject to consents. The adjacent garage/shop maybe also available for purchase subject to separate negotiation
Armstrong Gordon are delighted to offer this is large commercial building/site within an extremely well situated and accessible area of Coleraine. This property has a separate first floor office suitable for sub letting and the entire ground floor is currently used as a gym. The exterior has a large car parking area suitable for several cars but also the entire site maybe suitable for redevelopment subject to consents. The adjacent garage/shop maybe also available for purchase subject to separate negotiation
Rooms
Main Gym Area (Currently No Limits Gym):
Separate office area with shower room and w.c.
Gym Area:
With light and power points. 48 Square meters
Property Location
Mortgage Calculator
Directions
Heading up Union Street, you'll see the new Northern College on your right. Continue past Brook Street, also on your right, and turn onto Martins Brae. Number 11 will be located on your left hand side.
Contact Agent
Contact Armstrong Gordon & Co
Request More Information
Requesting Info about...
14 Martins Brae, Coleraine, BT52 1PX
By registering your interest, you acknowledge our Privacy Policy
By registering your interest, you acknowledge our Privacy Policy