Contact Agent

Contact Ulster Property Sales (UPS) Carrickfergus

Contact Ulster Property Sales (UPS) Carrickfergus

Detached House

79A Woodburn Road

Carrickfergus, BT38 8PS

offers around £55,000
  • Status For Sale
  • Property Type Detached
  • Interior Area 1658 sqft
  • Stamp Duty
    Higher amount applies when purchasing as buy to let or as an additional property
    £0 / £2,750*
  • Typical Mortgage
    Click price to use our mortgage calculator

Key Features & Description

  • THINKING OF SELLING ?
    ALL TYPES OF PROPERTIES REQUIRED
    CALL US FOR A FREE NO OBLIGATION VALUATION

    UPS CARRICKFERGUS
    T: 028 93365986
    E:carrickfergus@ulsterpropertysales.co.uk
  • Description
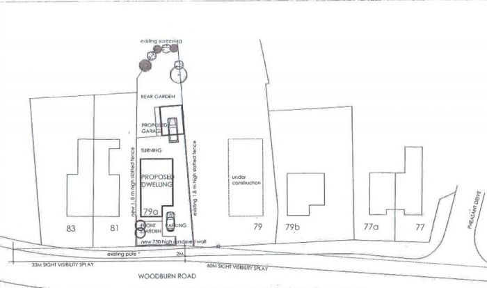
    This building site has planning permission for a single detached dwelling and garage, with potential to purchase further garden space at the rear.

    Located approximately 1.5 miles from Carrickfergus town centre, all amenities are within a two mile radius including schools, shops, transport links and leisure facilities.

    Planning application number LA02/2020/0609/F

    Further details available from our Carrickfergus office

    Broadband Speed Availability

    Ultrafast

    Potential Speeds for 79a Woodburn Road

    Max Download
    1800
    Mbps
    Max Upload
    220
    Mbps
    The speeds indicated represent the maximum estimated fixed-line speeds as predicted by Ofcom. Please note that these are estimates, and actual service availability and speeds may differ.

    Property Location

    Show Map

    Mortgage Calculator

    Disclaimer: The following calculations act as a guide only, and are based on a typical repayment mortgage model. Financial decisions should not be made based on these calculations and accuracy is not guaranteed. Always seek professional advice before making any financial decisions.

    Contact Agent

    Contact Ulster Property Sales (UPS) Carrickfergus

    Contact Ulster Property Sales (UPS) Carrickfergus

    Request More Information
    Requesting Info about...
    79A Woodburn Road, Carrickfergus, BT38 8PS 79A Woodburn Road, Carrickfergus, BT38 8PS

    By registering your interest, you acknowledge our Privacy Policy
    Ask Holmes
    Ask Holmes
    Let's find your next home

    Are you sure you want to reset the chat?

    Checking API...