Contact Agent

Contact Philip Tweedie & Company (Portstewart)

Contact Philip Tweedie & Company (Portstewart)

Site

Site At 79 Ballyclogh Road

Bushmills, BT57 8UZ

offers over £125,000
  • Status Sale Agreed
  • Property Type Site
  • Stamp Duty
    Higher amount applies when purchasing as buy to let or as an additional property
    £0 / £6,250*
  • Tenure Freehold
  • Typical Mortgage
    Click price to use our mortgage calculator

Description

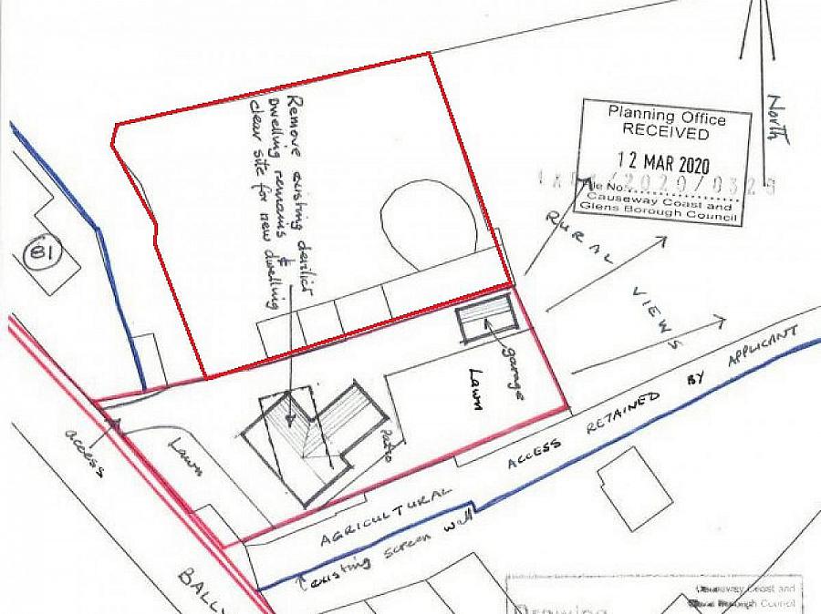
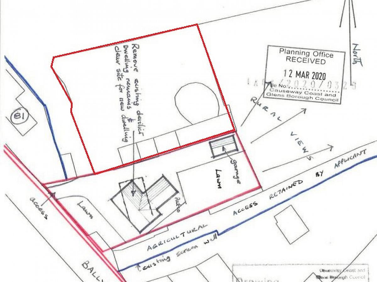
This stunning rural site is situated in an excellent location, being only 2 miles from Bushmills and benefits from outline planning permission for a detached 1-1.5 storey home with garage.

The site extends to circa 0.5 acres and benefits from excellent, far reaching views overlooking the countryside and towards the Causeway coast and headlands in the distance.

ADDITIONAL INFORMATION:

Tenure: Freehold

Planning Ref: LA01/2020/0326/O

Property Location

Show Map

Mortgage Calculator

Disclaimer: The following calculations act as a guide only, and are based on a typical repayment mortgage model. Financial decisions should not be made based on these calculations and accuracy is not guaranteed. Always seek professional advice before making any financial decisions.

Contact Agent

Contact Philip Tweedie & Company (Portstewart)

Contact Philip Tweedie & Company (Portstewart)

Request More Information
Requesting Info about...
Site At 79 Ballyclogh Road, Bushmills, BT57 8UZ Site At 79 Ballyclogh Road, Bushmills, BT57 8UZ

By registering your interest, you acknowledge our Privacy Policy