Land
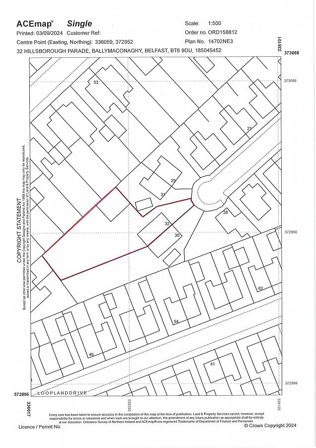
32 Hillsborough Parade
Belfast, BT6 9DU
price
£99,950
- Status Sale Agreed
- Property Type Land
- Bathrooms 1
- Heating Not Specified
-
Stamp Duty
Higher amount applies when purchasing as buy to let or as an additional property£0 / £4,998*
Key Features & Description
Large site off Castlereagh Road
Previously a semi detached property
Most likely to allow for one detached residence (Subject to planning permission)
To be sold without planning permission
Description
This site is located just off the Castlereagh Road with fantastic local amenities, the Tesco Extra Castlereagh just across the road, and it has good access into and away from Belfast City centre. The site would previously have housed a semi-detached property and will most likely allow for the construction of one detached residence. (Subject to planning permission)
Directions
Located just off the Castlereagh Road
Notice
Please note we have not tested any apparatus, fixtures, fittings, or services. Interested parties must undertake their own investigation into the working order of these items. All measurements are approximate and photographs provided for guidance only.
Utilities
Electric: Mains Supply
Gas: Unknown
Water: Mains Supply
Sewerage: Mains Supply
Broadband: Unknown
Telephone: Unknown
Other Items
Heating: Not Specified
Garden/Outside Space: No
Parking: No
Garage: No
This site is located just off the Castlereagh Road with fantastic local amenities, the Tesco Extra Castlereagh just across the road, and it has good access into and away from Belfast City centre. The site would previously have housed a semi-detached property and will most likely allow for the construction of one detached residence. (Subject to planning permission)
Directions
Located just off the Castlereagh Road
Notice
Please note we have not tested any apparatus, fixtures, fittings, or services. Interested parties must undertake their own investigation into the working order of these items. All measurements are approximate and photographs provided for guidance only.
Utilities
Electric: Mains Supply
Gas: Unknown
Water: Mains Supply
Sewerage: Mains Supply
Broadband: Unknown
Telephone: Unknown
Other Items
Heating: Not Specified
Garden/Outside Space: No
Parking: No
Garage: No
Property Location
Mortgage Calculator
Contact Agent
Contact Pooler Estate Agents
Request More Information
Requesting Info about...
32 Hillsborough Parade, Belfast, BT6 9DU
By registering your interest, you acknowledge our Privacy Policy
By registering your interest, you acknowledge our Privacy Policy