Detached House
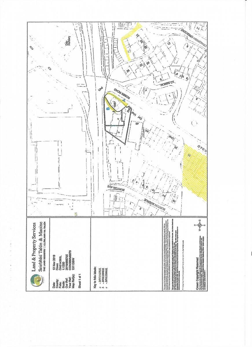
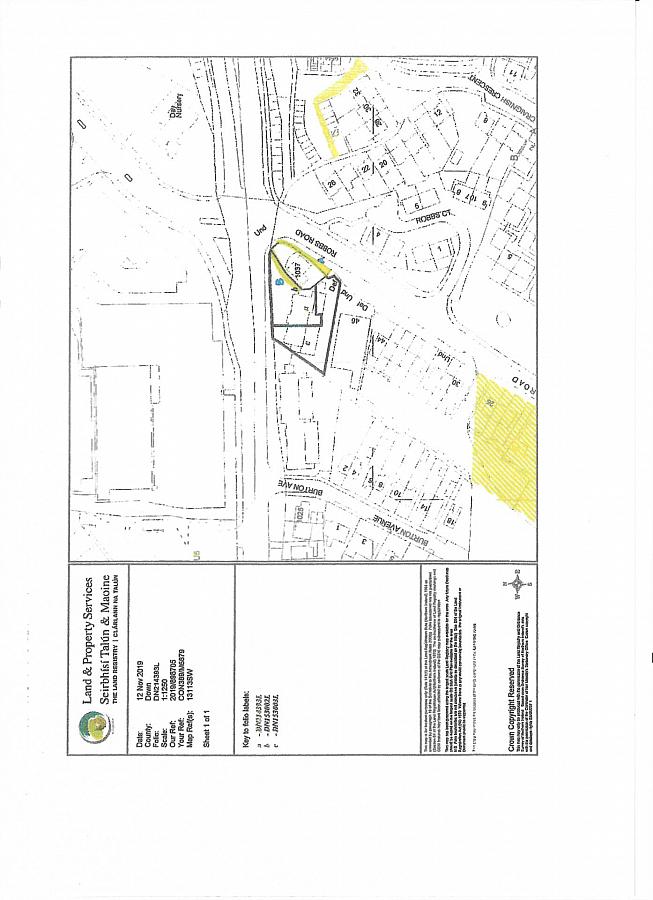
1037 Upper Newtownards Road
Dundonald, Belfast, BT16 1RN
price
£150,000
- Status For Sale
- Property Type Detached
- Receptions 1
- Bathrooms 1
- Heating Not Specified
-
Stamp Duty
Higher amount applies when purchasing as buy to let or as an additional property£500 / £8,000*
Key Features & Description
Excellent Development Opportunity
Existing Detached Dwelling
Potential For Replacement Dwelling - Subject to Planning
Description
Excellent Development Opportunity
A fantastic opportunity with potential to renovate an existing detached property or for a replacement dwelling - Subject to the relevant planning consents.
The site is located in a prominent position on the Upper Newtownards Road, close to Dundonald village.
Entrance Hall
Reception Room - 14'5" (4.39m) Max x 11'9" (3.58m) Max
Reception Room/ Bedroom - 14'6" (4.42m) Max x 11'10" (3.61m) Max
Bedroom - 11'10" (3.61m) x 10'8" (3.25m)
Bathroom - 7'1" (2.16m) x 8'4" (2.54m)
Kitchen Dining - 22'8" (6.91m) Max x 11'10" (3.61m) Max
1st Floor - 30'7" (9.32m) x 12'3" (3.73m)
Conversion potential to 2 bedrooms and bathroom
Exterior
Front, side and rear gardens
Notice
Please note we have not tested any apparatus, fixtures, fittings, or services. Interested parties must undertake their own investigation into the working order of these items. All measurements are approximate and photographs provided for guidance only.
Rates Payable
Belfast City Council, For Period April 2025 To March 2026 £1.00
Utilities
Electric: Unknown
Gas: Unknown
Water: Unknown
Sewerage: Unknown
Broadband: Unknown
Telephone: Unknown
Other Items
Heating: Not Specified
Garden/Outside Space: No
Parking: No
Garage: No
Excellent Development Opportunity
A fantastic opportunity with potential to renovate an existing detached property or for a replacement dwelling - Subject to the relevant planning consents.
The site is located in a prominent position on the Upper Newtownards Road, close to Dundonald village.
Entrance Hall
Reception Room - 14'5" (4.39m) Max x 11'9" (3.58m) Max
Reception Room/ Bedroom - 14'6" (4.42m) Max x 11'10" (3.61m) Max
Bedroom - 11'10" (3.61m) x 10'8" (3.25m)
Bathroom - 7'1" (2.16m) x 8'4" (2.54m)
Kitchen Dining - 22'8" (6.91m) Max x 11'10" (3.61m) Max
1st Floor - 30'7" (9.32m) x 12'3" (3.73m)
Conversion potential to 2 bedrooms and bathroom
Exterior
Front, side and rear gardens
Notice
Please note we have not tested any apparatus, fixtures, fittings, or services. Interested parties must undertake their own investigation into the working order of these items. All measurements are approximate and photographs provided for guidance only.
Rates Payable
Belfast City Council, For Period April 2025 To March 2026 £1.00
Utilities
Electric: Unknown
Gas: Unknown
Water: Unknown
Sewerage: Unknown
Broadband: Unknown
Telephone: Unknown
Other Items
Heating: Not Specified
Garden/Outside Space: No
Parking: No
Garage: No
Broadband Speed Availability
Potential Speeds for 1037 Upper Newtownards Road
Max Download
1800
Mbps
Max Upload
220
MbpsThe speeds indicated represent the maximum estimated fixed-line speeds as predicted by Ofcom. Please note that these are estimates, and actual service availability and speeds may differ.
Property Location
Mortgage Calculator
Contact Agent
Contact Campbell and Co (Belfast)
Request More Information
Requesting Info about...
1037 Upper Newtownards Road, Dundonald, Belfast, BT16 1RN
By registering your interest, you acknowledge our Privacy Policy
By registering your interest, you acknowledge our Privacy Policy