Contact Agent
Contact Victoria Pinkerton (North Down)
Land
1a 3a, 5A & 7A Railwayview Street
Bangor, BT20 3BY
offers around
£100,000
- Status For Sale
- Property Type Land
-
Stamp Duty
Higher amount applies when purchasing as buy to let or as an additional property£0 / £5,000*
Key Features & Description
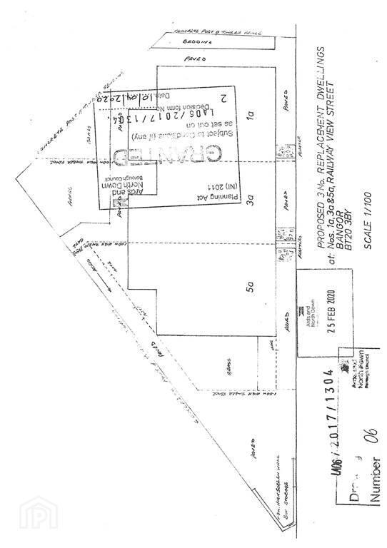
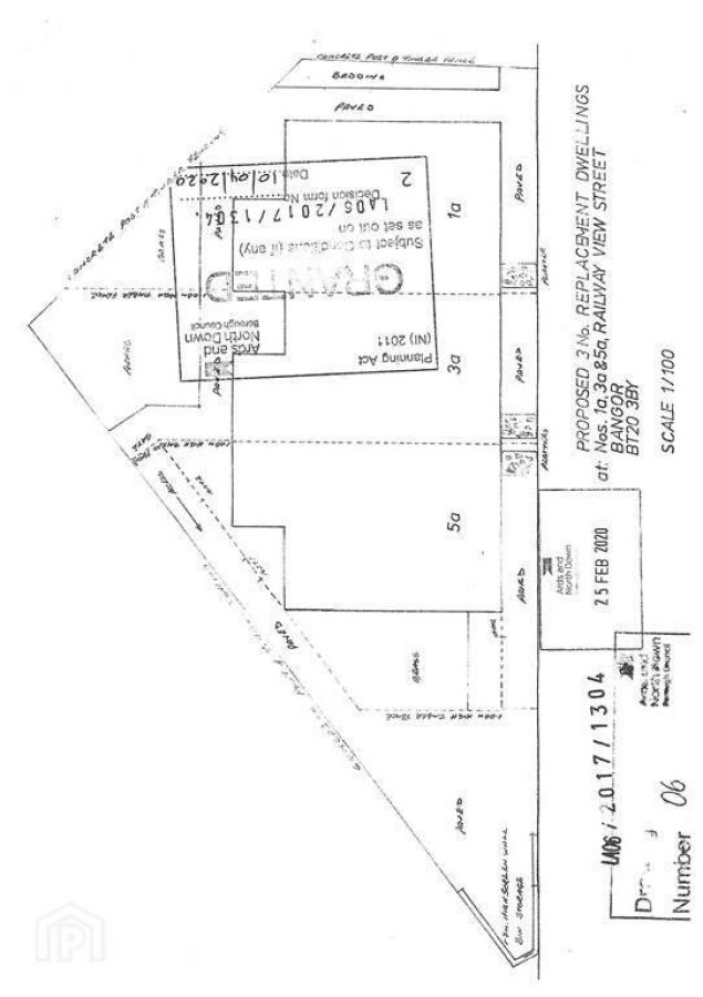
Central Building Site With Full Planning For 3 Bedroom Town House
Site Area Approx 236 Sq Yards
Each House With Lounge, Dining Area, Kitchen Ground Floor Toilet, 2 Bedrooms, Bathroom Floor Area Approx 600 Sq Ft (Plans Available For Inspection On Request)
All Mains Services Available For Connection, Main Sewer Runs Around The Site
A Temporary Vehicular Access To The Site Is Available From Windsor Gardens
Description
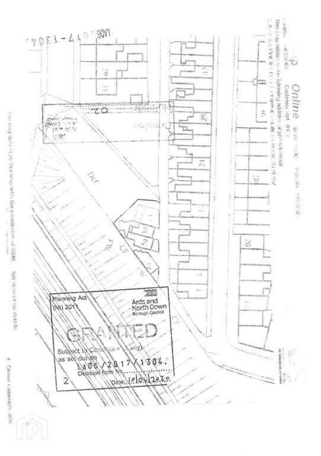
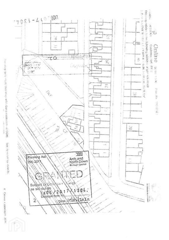
A rare opportunity to acquire a centrally located site within walking distance of the city centre and all amenities close to bus and railway station.
Full planning approval has been granted for the erection of 3 2 storey 2 bedroom town houses.
Ref No LA06/2017/1304/F
A rare opportunity to acquire a centrally located site within walking distance of the city centre and all amenities close to bus and railway station.
Full planning approval has been granted for the erection of 3 2 storey 2 bedroom town houses.
Ref No LA06/2017/1304/F
Rooms
Directions
Travelling down Dufferin Avenue from Main Street, turn left into Railwayview Street.
IMPORTANT NOTE TO PURCHASERS
We aim to make our sales particulars accurate and reliable. However, they do not constitute or form part of an offer or contract, and none are to be relied upon as statements of representation or fact. The detail provided in the `Required information under Trading Standards guidance´ is provided in good faith from information supplied to Pinkertons by the Vendor. All, save for Tenure, are subject to change annually. We have not tested any services, systems, and appliances listed in this specification, and there is no guarantee of their operating ability or efficiency. All measurements have only been taken as a guide to prospective buyers and are not precise. Please be advised that some of the particulars may be awaiting vendor approval. If you require clarification or further information on any points, please contact us, especially if you are travelling some distance to view. Fixtures and fittings other than those mentioned are to be agreed upon with the seller.
We aim to make our sales particulars accurate and reliable. However, they do not constitute or form part of an offer or contract, and none are to be relied upon as statements of representation or fact. The detail provided in the `Required information under Trading Standards guidance´ is provided in good faith from information supplied to Pinkertons by the Vendor. All, save for Tenure, are subject to change annually. We have not tested any services, systems, and appliances listed in this specification, and there is no guarantee of their operating ability or efficiency. All measurements have only been taken as a guide to prospective buyers and are not precise. Please be advised that some of the particulars may be awaiting vendor approval. If you require clarification or further information on any points, please contact us, especially if you are travelling some distance to view. Fixtures and fittings other than those mentioned are to be agreed upon with the seller.
Broadband Speed Availability
Potential Speeds for 5a & 7a Railwayview Street
Max Download
1800
Mbps
Max Upload
220
MbpsThe speeds indicated represent the maximum estimated fixed-line speeds as predicted by Ofcom. Please note that these are estimates, and actual service availability and speeds may differ.
Property Location
Mortgage Calculator
Contact Agent
Contact Victoria Pinkerton (North Down)
Request More Information
Requesting Info about...
1a 3a, 5A & 7A Railwayview Street, Bangor, BT20 3BY
By registering your interest, you acknowledge our Privacy Policy
By registering your interest, you acknowledge our Privacy Policy