Contact Agent

Contact Pooler Country

Contact Pooler Country

Site with OPP

Site 2 Between 5 And 9 New Road

Banbridge, BT32 4EA

offers in the region of £125,000
  • Status Sale Agreed
  • Property Type Site with OPP
  • Stamp Duty
    Higher amount applies when purchasing as buy to let or as an additional property
    £0 / £6,250*
  • Typical Mortgage
    Click price to use our mortgage calculator

Key Features

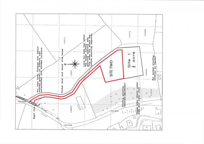
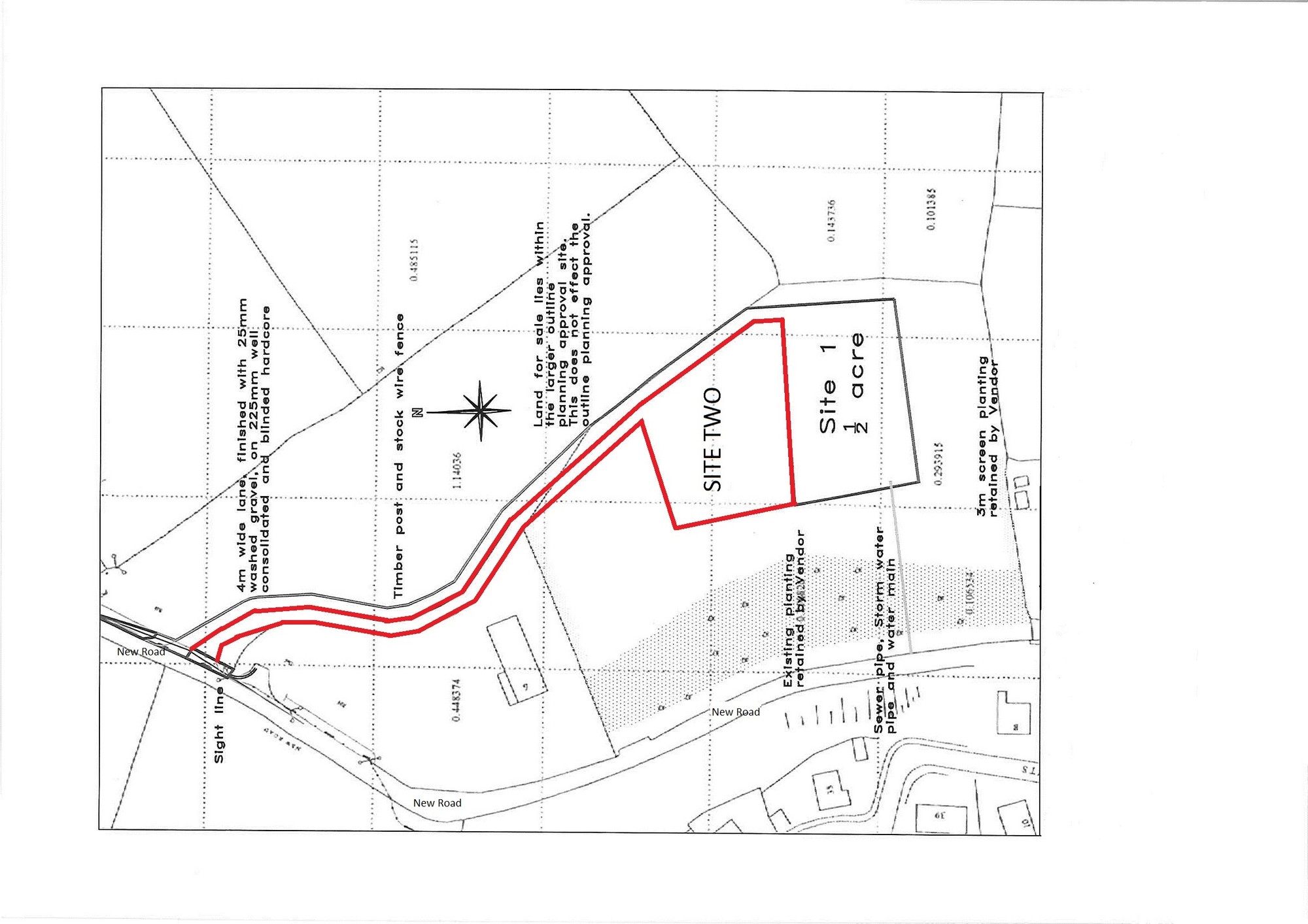
SITE 1 SOLD, SITE 2 NOW AVAILABLE
Fabulous elevated site with rural views, yet is located at the very edge of Banbridge
Only minutes from the town centre
Site of around 0.5 acre but can be slightly larger by negotiation
Services close by
Hard core lane will be provided by vendor to service both sites 1 and 2.
Outline planning permission reently passed
Excellent rural views and frontage bordered by mature trees

Property Location

Show Map

Mortgage Calculator

Disclaimer: The following calculations act as a guide only, and are based on a typical repayment mortgage model. Financial decisions should not be made based on these calculations and accuracy is not guaranteed. Always seek professional advice before making any financial decisions.

Contact Agent

Contact Pooler Country

Contact Pooler Country

Request More Information
Requesting Info about...
Site 2 Between 5 And 9 New Road, Banbridge, BT32 4EA Site 2 Between 5 And 9 New Road, Banbridge, BT32 4EA

By registering your interest, you acknowledge our Privacy Policy
Ask Holmes
Ask Holmes
Let's find your next home

Are you sure you want to reset the chat?

Checking API...