Contact Agent

Contact McAfee Properties (Ballymoney)
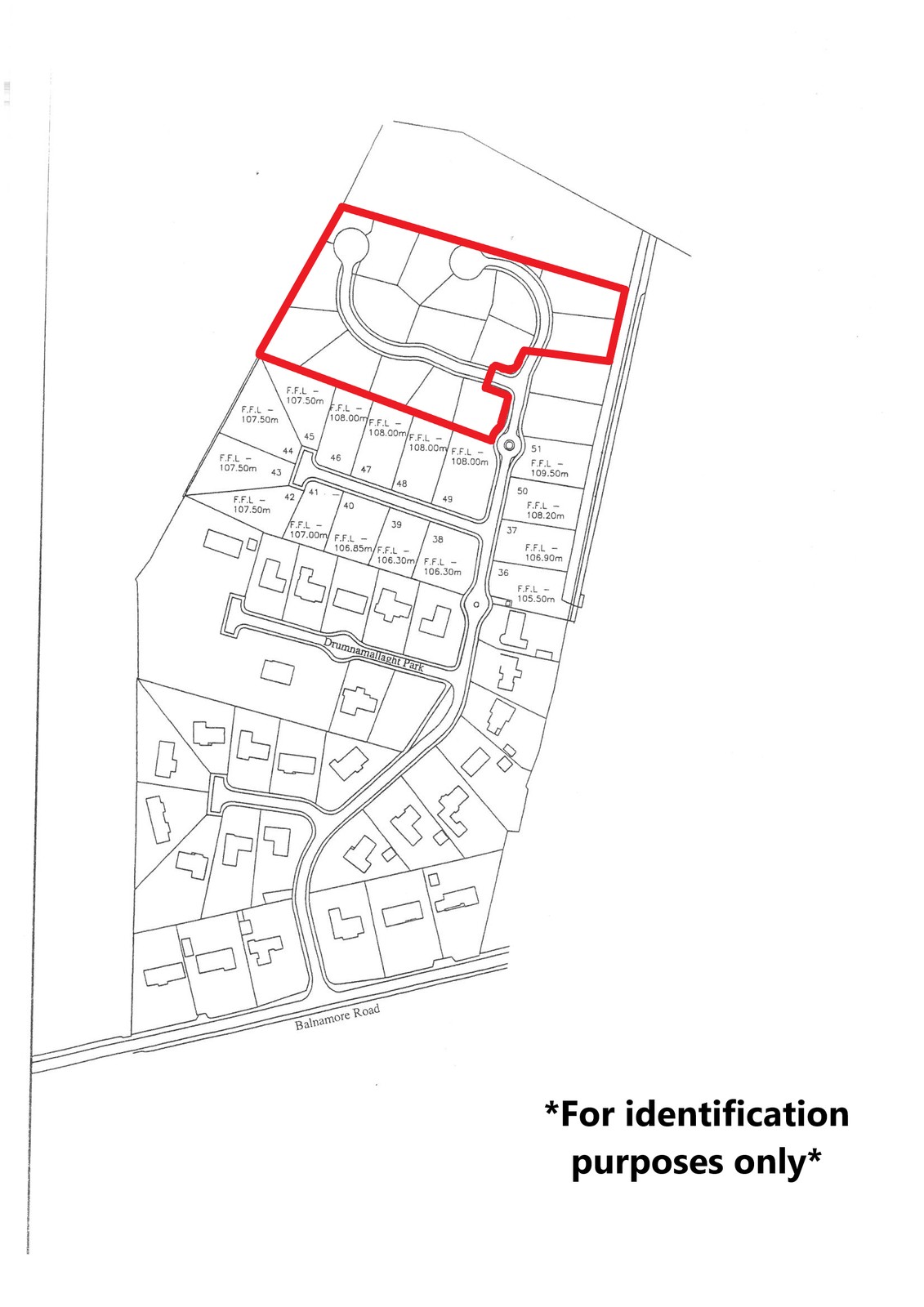
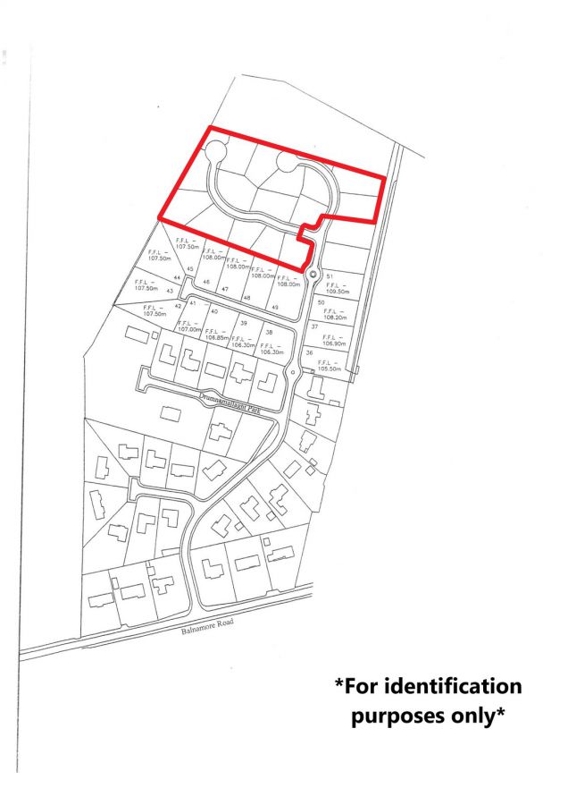
Site
15 Building Sites
Drumnamallaght, Ballymoney, BT53
offers over
£1,000,000
- Status For Sale
- Property Type Site
-
Stamp Duty
Higher amount applies when purchasing as buy to let or as an additional property£43,750 / £93,750*
Description
A well appointed site, presently with Outline Planning Permission for 15 detached spacious properties for either single storey or chalet type dwellings.
Although the site is presently designed to accommodate 15 detached dwellings, the owner will agree to an extension to 18 detached dwellings, either of single storey or chalet type dwelling.
Seldom does an opportunity to acquire this number of sites in such a prestigious location come on the market and we as agents highly recommend inspection.
Property Location

Mortgage Calculator
Directions
Leave Ballymoney town centre along Charlotte street and continue along. Drumnamallaght is located on the right hand side just before leaving the town. Continue into the development along Drumnamallaght road the land is located at the end of the road.
Contact Agent

Contact McAfee Properties (Ballymoney)
Request More Information
Requesting Info about...
15 Building Sites, Drumnamallaght, Ballymoney, BT53
By registering your interest, you acknowledge our Privacy Policy

By registering your interest, you acknowledge our Privacy Policy