Contact Agent

Contact Daniel Henry Estate Agents (Limavady)

Contact Daniel Henry Estate Agents (Limavady)

Site

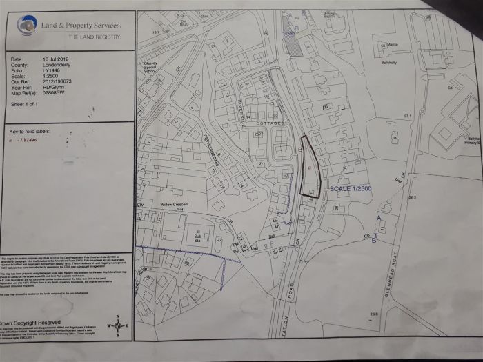
Building Site Plantation Road

Ballykelly, BT49 9HX

offers around £70,000
  • Status Sale Agreed
  • Property Type Site
  • Interior Area 1206 sqft
  • Stamp Duty
    Higher amount applies when purchasing as buy to let or as an additional property
    £0 / £3,500*
  • Typical Mortgage
    Click price to use our mortgage calculator

Key Features

Full Planning for Two Storey Dwelling
Excellent Location
Close to Local Amenities

Rooms

LOCATION: Approaching Ballykelly from Limavady, proceed straight ahead at the traffic lights. Continue a short distance taking left just after the filling station onto Plantation Road. The building site is situated on the right hand side.
BUILDING SITE: Adjacent to number 7 with full planning permission passed for a detached two storey dwelling.

Property Location

Show Map

Mortgage Calculator

Disclaimer: The following calculations act as a guide only, and are based on a typical repayment mortgage model. Financial decisions should not be made based on these calculations and accuracy is not guaranteed. Always seek professional advice before making any financial decisions.

Contact Agent

Contact Daniel Henry Estate Agents (Limavady)

Contact Daniel Henry Estate Agents (Limavady)

Request More Information
Requesting Info about...
Building Site Plantation Road, Ballykelly, BT49 9HX Building Site Plantation Road, Ballykelly, BT49 9HX

By registering your interest, you acknowledge our Privacy Policy